Have you heard about coral reseeding? This technique is said to be the future of reef restoration because it can give incredible results. And now, coral reseeding has already been implemented in the Great Barrier Reef.
This is a promising method to restore the ocean’s decreasing coral ecosystem. The ecosystem is very important yet facing a lot of dangers. So, how incredible actually is this method? Here, in this article we are going to talk about it.
Importance of Great Barrier Reef

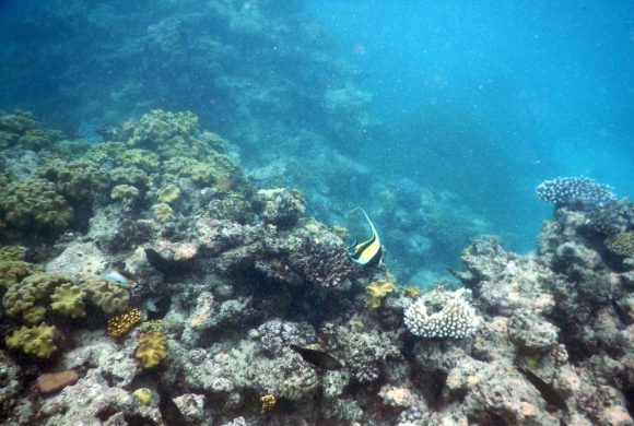
First thing first, let’s talk about the Great Barrier Reef. It is an incredibly important ecosystem that is home to a vast array of marine life. The reef supports over 1,500 species of fish, 400 types of coral, and six species of sea turtles. The reef also provides a habitat for sharks, dolphins, whales, and other marine mammals.
However, the reef is facing many challenges due to human activities such as climate change, pollution, and overfishing. Rising ocean temperatures caused by climate change have led to coral bleaching, which is causing significant damage to the reef.
Pollution from plastic waste and agricultural runoff is also harming marine life that depends on the reef. Overfishing is disrupting the ecosystem and reducing the populations of important species.
The decline of the Great Barrier Reef has significant consequences for the environment. The reef provides a vital habitat for many species of marine life and supports the fishing and tourism industries in the region.
The loss of the reef would not only be a tragedy in terms of biodiversity, but it would also have significant economic impacts. Therefore, it is crucial that we take action to protect the reef and ensure its survival for future generations.
Coral Reseeding the Great Barrier Reef

The Great Barrier Reef, one of Australia’s most iconic natural wonders, has been under threat for years due to climate change, pollution, and other factors. However, a new technique called coral reseeding is showing promise in regenerating damaged parts of the reef.
Coral reseeding involves collecting coral eggs and sperm from the healthy parts of the reef and rearing them into larvae. These larvae are then returned to the damaged parts of the reef, where they settle and grow into new coral colonies.
This technique offers a more efficient and effective approach to coral restoration than traditional methods such as planting coral fragments. The process of coral reseeding begins with the collection of coral eggs and sperm during a coral spawning event, which typically occurs once a year.
The eggs and sperm are collected by researchers and reared in a lab until they reach the larval stage. Once the larvae are mature enough, they are transported to the damaged parts of the reef and released into the water.
One of the benefits of coral reseeding is that it allows for a large number of coral larvae to be produced from a small number of adult corals. This means that the larvae can be spread over a larger area, increasing the chances of successful settlement and growth.
Additionally, the use of larvae instead of coral fragments eliminates the need for physical contact with the reef, reducing the risk of further damage. The success of coral reseeding has been demonstrated in various studies, including a recent project by researchers from the Australian Institute of Marine Science and the University of Technology Sydney.
Benefits of Coral Reseeding

After just one year, the project showed a 37% increase in new coral cover in the treated areas of the reef. While coral reseeding offers promising results for the regeneration of damaged coral reefs, there are still challenges to be addressed, such as the availability of healthy adult corals and the need for further research and development.
However, the technique still offers a new hope for the conservation of Great Barrier Reef. For long, we keep being informed that the Great Barrier Reef is dying and not so many good news surrounding it. But with this technique, we can hope for more good news in the future.
The success of the coral reseeding technique used to regenerate the Great Barrier Reef has sparked interest in its potential to be used in other coral reefs around the world. Coral reefs are home to a vast array of marine life and are essential to the health of our oceans.
The Great Barrier Reef is one of the most threatened ecosystems on the planet, with climate change and human activities causing widespread damage. Coral reseeding offers a promising solution for restoring damaged reefs and preserving these vital ecosystems for future generations.
Researchers have already begun exploring the potential for coral reseeding in other areas. A recent study published in the journal Nature Communications found that the technique could be effective in restoring damaged coral reefs in the Caribbean.
The Future of Coral Reseeding

The study’s lead author, Professor Peter Harrison from Southern Cross University in Australia, noted that coral reseeding could help to accelerate the recovery of damaged reefs and make them more resilient to future threats.
“This is the first time that the entire process of large-scale larval rearing and settlement will be undertaken directly on reefs on the Great Barrier Reef,” Professor Harrison said. “Our team will be restoring hundreds of square meters with the goal of getting to square kilometers in the future, a scale not attempted previously.”
In addition to the Caribbean, coral reseeding has also been proposed as a potential solution for restoring damaged reefs in Southeast Asia, where coral reefs are under threat from overfishing, pollution, and coastal development.
A study conducted by the Nature Conservancy found that the technique could be used to restore damaged reefs in Indonesia’s Wakatobi National Park. While the potential for coral reseeding is promising, there are also challenges to its implementation.
One of the main challenges is the logistics of collecting and rearing coral larvae. This process requires specialized equipment and expertise, as well as significant financial resources.
Additionally, the success of coral reseeding depends on a range of factors, including water quality, ocean currents, and the availability of suitable habitats for the larvae to settle and grow.
Sources:

Leave a Reply